魚図鑑 > イスズミ・メジナの仲間 > メジナ属

オキナメジナ

Girella mezina

国内種海水
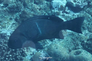
オキナメジナ

2025.3. 沖縄本島 -5m

学名がmezinaって笑

小笠原の個体は荒れ狂う浅場で命からがら撮影しました。

伊豆で落ち着いて撮りたいぞ。

image

2025.7. 三宅島 -1m

image

2025.7. 三宅島 -1m

image

2025.7. 三宅島 -1m

image

2025.3. 沖縄本島 -5m

image

2025.3. 沖縄本島 -5m

image

2024.1. 小笠原 -5m